Primăria Sibiu, prin Direcția de Amenajare a Teritoriului și Urbanism, anunță sibienii că pot trimite sesizări și puncte de vedere cu privire la noi planuri urbanistice ce vizează reglementarea unui teren de aproape 30.000 de metri pătrați, aflați lângă Pădurea Dumbrava, unde se intenționează construcția a zeci de case.
Anunțul primăriei precizează că este vorba despre un Plan Urbanistic Zonal cu titlul „Extindere trup intravilan PUZ aprobat cu HCL nr. 355/2010 – construire locuințe individuale P+1, servicii aferente locuirii”, pe strada Dumbrăviței.
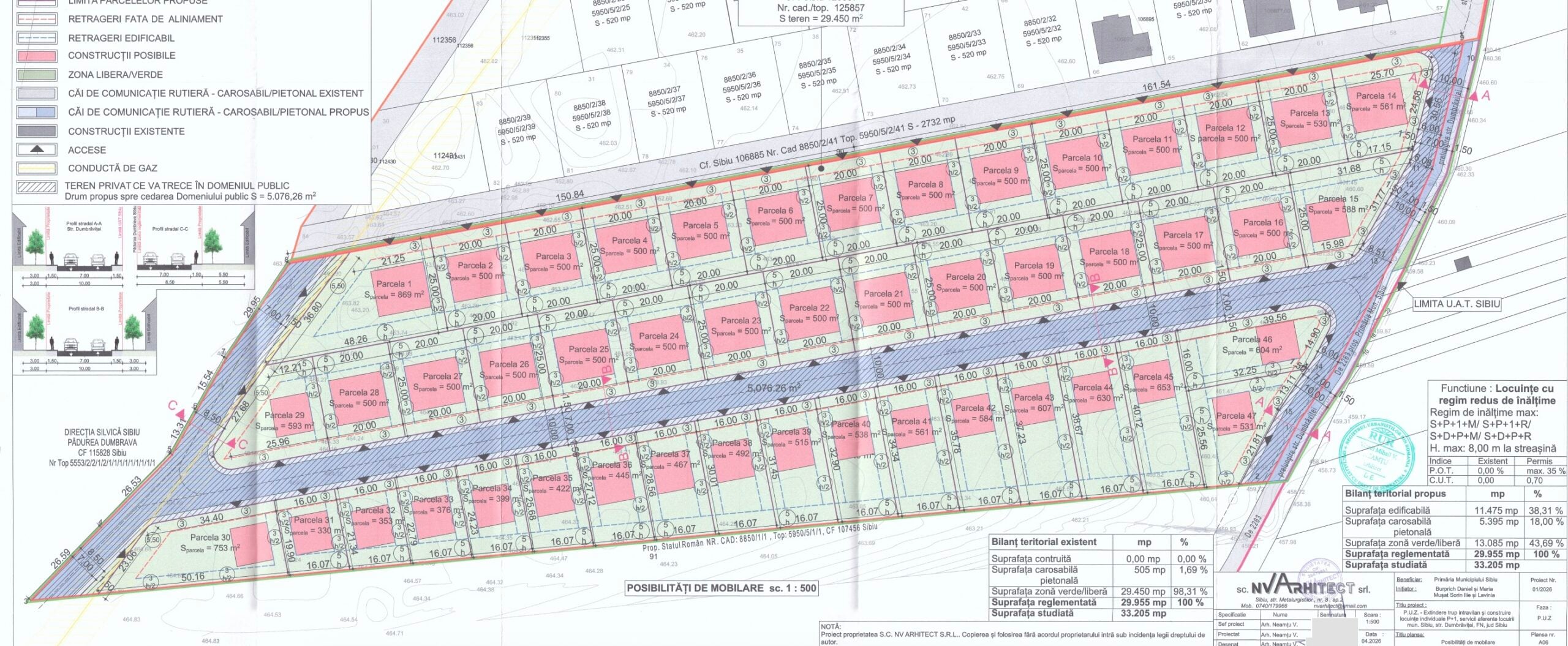
Strada respectivă se află vizavi de Cartierul Arhitecților, în apropiere de Pădurea Dumbrava.
Planșa de mobilare urbanistică prezintă aproape 50 de case, majoritatea terenurilor având 500 metri pătrați:

Planșă mobilare urbanistică. Sursa: Primăria Sibiu / NV Arhitect SRL
”Prin prezentul P.U.Z. se propune extinderea trup intravilan și construirea de locuințe individuale P+1, servicii aferente locuirii și extinderea rețelelor utilități”, se arată în memoriul de prezentare care însoțește anunțul Primăriei Sibiu.
Același document mai precizează că intenția inițiatorului P.U.Z.-ului este de a ”întregii trupul de intravilan al municipiului Sibiu și a asigura o dezvoltare armonioasă a zonei aflată la granița cu UAT a orașului Cisnădie”.
Se propun investiții private pentru extinderea rețelelor edilitare menite ”să asigure un confort sporit de locuire, ca funcțiune dominantă, completată cu servicii aferente locuirii”.
”Se dorește parcelarea terenului, crearea unui drum de acces cu legătură la drumul de exploatare, continuarea străzii Dumbrăviței existente. Considerăm că urbanizarea propusă prin prezenta documentație va aduce un plus de valoare zonei și se va încadra armonios în dezvoltarea urbană existentă.
Accesul la zona studiată se va realiza și este posibil din drumul Cisnădie-Sibiu (str. Grigore Ionescu), str. Dumbrăviței (existentă), str. Alexandru Orăscu. Dorința inițiatorului de a realiza pe terenurile aflate în proprietatea lui construcții cu destinația de locuințe”, se mai precizează în Memoriul de prezentare.
Cine este interesat poate citi în întregime Memoriul de prezentare mai jos:
Inițiatorii proiectului sunt Burprich Daniel, Burprich Maria, Mușat Sorin Ilie, Mușat Elena-Lavinia.
Revenind la anunțul Primăriei Sibiu, persoanele interesate pot trimite puncte de vedere cu privire la planurile prezentate mai sus până în data de 15 mai. Sesizările pot fi transmise fie pe adresa Primăriei Municipiului Sibiu, str. S. Brukenthal nr. 2, fie pe email, la [email protected], fie telefonic la numărul 0269-208800 int. 551.
Persoana responsabilă cu informarea și consultarea publicului este consilier Carmen Budu.
Citește și:
Abonează-te la canalul de WhatsApp al Turnul Sfatului pentru a afla în timp real știrile relevante de la Sibiu: accesează linkul de aici și apasă opțiunea Follow (Urmăriți).

Administrație
Alătură-te comunității
Un răspuns
Toate comentariile sunt moderate de către redactorii TS, înainte de publicarea pe site, pentru a elimina limbajul agresiv/licențios sau informațiile false. Mulțumim.
(Acest mesaj a fost moderat din cauza limbajului jignitor) ăla ți șef….
E gol câmpul din jur dar hai sa ne băgăm în singurul petec de pădure, că ce are
Da, cam ciudată situația. Însă în zona mallului de la Șelimbăr, sunt întrunite condițiile pentru păcănele. Așa că vom vedea…
Germania nu are carburant? De ce nu cere de la Ucraina? lol
(Acest mesaj a fost șters deoarece face parte din categoria „trolling”)













Lasă un răspuns